Stormtrack
4-12-20_arklatex_dixie
RTC 08-Apr-20 12:34 PM
cored 4
East 5
CanadianStormChaser 08-Apr-20 12:34 PM
Day 2 ENH πŸ‘€
Morphtato 08-Apr-20 12:35 PM
30% SIG Wind/Hail cored
ChasingTheMeso.com 08-Apr-20 12:36 PM
YUSSSSS
Dews in the 70s/500mb in the upper 50s. Looks like a nice chase day. Looks to become a mess around 6 p.m. though.
I don't know if I'm going to chase it. It looks like a nice day, but I don't know the restrictions when it comes to the coronavirus and all that in that area. Plus the fact that it doesn't look real impressive when it comes to tornadoes and I don't want to drive 5 + hours to Texas for hail.
WeathermanEd (Chicago) 08-Apr-20 12:54 PM
Its yesterdays setup but in Texas. Save yourself a windshield and get some good storm structure pics
ChasingTheMeso.com 08-Apr-20 12:56 PM
@WeathermanEd (Chicago) I honestly probably won't Chase tomorrow. I haven't looked at all the models but I do see that there is a severe weather risk in Texas on Saturday so I'm going to look at that as well.
WeathermanEd (Chicago) 08-Apr-20 12:57 PM
Neither have I. Weekend looks better overall from what I've read briefly. We'll see how tomorrow shapes as the day goes along
453Braxton 09-Apr-20 07:53 AM
That Day 4 discussion from the SPC, wow.
...SEVERE WEATHER OUTBREAK POSSIBLE ON D4/SUN... ...DISCUSSION... An outbreak of severe thunderstorms appears possible on Sunday across parts of Louisiana, Mississippi, Alabama, and possibly into Georgia by Sunday night. Tornadoes (potentially strong/long-tracked) and widespread damaging winds are expected to be the primary hazards. ...D4/Sunday: TX Gulf Coast eastward through the Southeast into the Carolinas... Ingredients for a potential severe thunderstorm outbreak appear likely to come together Sunday into Sunday night. An ejecting shortwave trough is forecast to take on a neutral to somewhat negative tilt by Sunday afternoon as it moves quickly east-northeastward across the Southeast states. Rich low-level moisture will be drawn inland from the Gulf of Mexico in advance of a deepening surface low that will move from the mid-MS Valley into the Ohio Valley by Monday morning. Moderate destabilization in conjunction with an 80-100 kt midlevel jet and 50-60 kt low-level jet will result in a very favorable environment for organized convection, including the potential for long-track supercells and a corresponding strong tornado risk. Very strong low/midlevel flow fields will also support widespread damaging wind potential. Some uncertainty remains regarding the northward extent of the most significant severe potential, given the presence of widespread convection in advance of the ejecting shortwave. Guidance also continues to trend slightly slower, with the GFS still a notably fast outlier. A 30% probability contour has been introduced from LA into central/southern MS/AL and southwest GA, where confidence is highest in the outbreak potential at this time.
pds 15
ohshit 9
Hank 10
Spann 8
Morphtato 09-Apr-20 09:39 AM
this 2
🀣 2
So uh... 12z NAM Hank
WeathermanEd (Chicago) 09-Apr-20 10:18 AM
πŸŒͺ️
RTC 09-Apr-20 10:49 AM
pds
benr1001 09-Apr-20 11:35 AM
They used the O-word on the day 4, yikes
ArkansasCowboy 09-Apr-20 11:50 AM
Yup.
Rob Lightbown (Springfield, MA) 09-Apr-20 12:00 PM
75-90% chance for a significant tornado per SREF guidance.
Hank 9
RTC 09-Apr-20 12:11 PM
Hank Hank that's an ENSEMBLE... FOUR DAYS out... SHOWING THAT
jordand71 09-Apr-20 01:28 PM
Easter outbreak??? πŸŒͺ
RTC 09-Apr-20 01:39 PM
This is ominous - potentially capped airmass beneath southern branch of UJ for very rich warm sector and unimpeded inflow. Also noted similarities to the 1994 Palm Sunday Outbreak (e.g., 04/09/00z CIPS). The potential E-W boundary interactions are concerning.
<<𝕭𝖔𝖇>> γƒœγƒ– 09-Apr-20 01:50 PM
@jordand71 I'm staying home and getting ready, storm motion 50-60kt or so, nighttime for GA, no thanks
I'm too inexperienced for that intensity of a chase
πŸ‘ 1
jordand71 09-Apr-20 05:21 PM
@<<𝕭𝖔𝖇>> γƒœγƒ– ya id be driving south west MS or AL to chase def not staying in GA if things pan out for this setup. Def not save chasing dixie tho.
<<𝕭𝖔𝖇>> γƒœγƒ– 09-Apr-20 05:57 PM
@jordand71 Yeah I got a buddy in Mobile planning to chase but i told him, he's only like 18 and started chasing like last year and I told him you're gonna get yourself killed if this pans out
RidleyTheSpacePirate34 09-Apr-20 07:03 PM
Tell him not to chase this set up.
This is rare instance that Reed would probably nope out
KFC Chicken 09-Apr-20 07:10 PM
Nah reed is chasing it I think
RidleyTheSpacePirate34 09-Apr-20 07:10 PM
Could be but knowing him, he may stay away from worst spot and chase on fringes... That sounds like a dangerous setup
Basically giant NOPE plastered all over it
Glen Heinz (Greenville, SC) 09-Apr-20 07:11 PM
It's tempting, 10hr drive for me. Wondering about 00z GFS Party tonight? Anyone?
RidleyTheSpacePirate34 09-Apr-20 07:11 PM
Maybe
Glen Heinz (Greenville, SC) 09-Apr-20 07:11 PM
Well more like NAM
KFC Chicken 09-Apr-20 07:12 PM
RidleyTheSpacePirate34 09-Apr-20 07:12 PM
Thank. I missed that part
He has at least some safety sense in him
KFC Chicken 09-Apr-20 07:13 PM
Wouldn’t surprise me if quite a few chase just because it could be such a big event, and to get out of the house
RidleyTheSpacePirate34 09-Apr-20 07:13 PM
He had chased those sreamers before including 4/27. Still not recommended for newbies or those not used to Dixie screamers (edited)
this 7
Glen Heinz (Greenville, SC) 09-Apr-20 07:14 PM
Gonna be a long night.
RidleyTheSpacePirate34 09-Apr-20 07:14 PM
Been hit by those screamers before... not fun
Bunker storm motion indicating 60-80+ mph storm motion
@KFC Chicken I don't think he said he'll chase it in Twitter so that's why I missed that
<<𝕭𝖔𝖇>> γƒœγƒ– 09-Apr-20 07:57 PM
NAM says for me to die
RidleyTheSpacePirate34 09-Apr-20 07:59 PM
00z NAM is coming soon. Give it 30 min to an hour
Jim Martin 09-Apr-20 08:51 PM
0z NAM coming in
<<𝕭𝖔𝖇>> γƒœγƒ– 09-Apr-20 08:58 PM
Zachary gets it
this 16
RTC 09-Apr-20 09:27 PM
Hank 14
backup 12
omg 10
Spann 7
Jacob P 09-Apr-20 10:42 PM
Wait I don’t wanna sound dumb but
This is looking crazy right?
RidleyTheSpacePirate34 09-Apr-20 10:52 PM
Um... yeah..?
Noir 09-Apr-20 10:59 PM
If this event could shift a little more NW it would be in serviceable (but not good) terrain.
As it stands it’s a mostly unchaseable nightmare.
Hexzie 10-Apr-20 03:00 AM
Jacob P 10-Apr-20 03:17 AM
Day 3 MDT...
RTC 10-Apr-20 07:02 AM
The fact that the NAMNEST has a capped warm sector... at 18z Hank
<<𝕭𝖔𝖇>> γƒœγƒ– 10-Apr-20 09:13 AM
Gonna get blown away
Morphtato 10-Apr-20 09:31 AM
Spann
Spann 11
RTC 10-Apr-20 09:37 AM
NAM3KM 40 miles south of JAX scares me...
Hank 6
pds 11
prombomb (Lafayette, IN) 10-Apr-20 09:49 AM
Praying for Dixie... On Easter too.
this 2
WeathermanEd (Chicago) 10-Apr-20 11:49 AM
https://www.facebook.com/vgensini Live stream ongoing, noting here if you want to watch it later
Log into Facebook to start sharing and connecting with your friends, family, and people you know.
KFC Chicken 10-Apr-20 12:14 PM
apparently he's doing models happy hour again tomorrow
Mike Snyder 10-Apr-20 12:24 PM
to chase this or not to chase, that is the question
Glen Heinz (Greenville, SC) 10-Apr-20 12:27 PM
hey mike
this 2
GrayGhost 10-Apr-20 01:21 PM
I'll be chased in this case. Rolling I-20 in the rig Sunday.
JPC101 10-Apr-20 01:22 PM
That’s one way to do it. Stay safe.
RidleyTheSpacePirate34 10-Apr-20 01:24 PM
Oof @GrayGhost bad place to be trucking in
GrayGhost 10-Apr-20 01:25 PM
Dude it'll be chasing me
RidleyTheSpacePirate34 10-Apr-20 01:25 PM
Yeah...
In that kind of set up... no kidding
Those screamers can easily outrace your rig
Saw some 5,000 j/kg in MS....
Trey (Tulsa OK) 10-Apr-20 03:16 PM
Been sitting around working my ass off the last few days and decided to check out the SPC after I looked at some models a few mins ago...Big MDT in the SE. I'm late to noticing this one...but looks potent AF
Morphtato 10-Apr-20 04:37 PM
baron model painting some bad news for Dixie https://twitter.com/Whitleyweather/status/1248701961559572481 (edited)
The Baron 3K model run for Sunday is UGLY for the south. This is just one possible solution to what could happen. It paints a picture of several long tracks and violent tornadoes across the Southeast. EVERYONE in the South needs to be weather aware Sunday and Sunday Night. ht...
baron 8
Morphtato 10-Apr-20 06:55 PM
Right now it appears the only factors that could disrupt the overall severity of this system would be the development characteristics of the convection related to mode and interactions. Conversely, mesoscale/stormscale factors could result in enhanced corridors of storms producing significant weather. Either way, there are several factors evident that support higher end wording and probabilities in the forecast. Persons are urged to stay tuned & be prepared to act should a warning be issued for their area. These will be fast-moving storms, so people really need to be alert throughout Sunday, especially late in the day.
Jacob P 10-Apr-20 07:36 PM
Seems like storm mode is almost always the issue
John Choquette (Edmond, OK) 10-Apr-20 08:10 PM
Welcome the forecasting headache that is Dixie
RidleyTheSpacePirate34 10-Apr-20 08:22 PM
Agree
Morphtato 10-Apr-20 08:30 PM
Not something you see very often...
prombomb (Lafayette, IN) 10-Apr-20 09:10 PM
I think 04/27 is still fresh on everyones mind.
WeathermanEd (Chicago) 10-Apr-20 11:41 PM
@islivingston @wxmann @warneagle It's like everyone wants to be able to say they hit a homerun either by calling bust 2 days ahead or saying it will be April 27th all over. Odds are pretty damn high it will be something in between.
Jacob P 10-Apr-20 11:48 PM
Really
Odds are high it’ll be between a bust or a historic tornado outbreak?
No way
Morphtato 11-Apr-20 01:04 AM
Morphtato 11-Apr-20 01:55 PM
1:40pm: Severe Weather Threat UPDATE for Sunday: Moderate risk moved a bit farther east, but ALL of Central AL remains under a significant threat of severe weather. Get your severe weather plan ready now! #alwx
RidleyTheSpacePirate34 11-Apr-20 02:27 PM
https://twitter.com/NWSNashville/status/1249055768462209025 Bruh, I guess I'll have an afternoon cup of coffee
Here's the latest on Sunday's severe weather. We are expecting heavy rain at times tomorrow and tomorrow night. Severe storms are possible during the day Sunday, but the peak time for severe activity won't occur until the cold front comes through during the evening and overni...
CanadianStormChaser 11-Apr-20 04:27 PM
ProTip: For text discussion of tomorrow's severe weather event, please visit #public-event-channel and #4-12-20_arklatex_dixie. If you're in the #weather-discussion voice channel, please use #wx-voice-text when discussing the event in voice as to not clutter and confuse the primary discussion channels. At 9pm CT Sat 4/11 we will host a Zoom forecasting session. Must be a Zoom member to participate: https://zoom.us/j/733555433
Zoom is the leader in modern enterprise video communications, with an easy, reliable cloud platform for video and audio conferencing, chat, and webinars across mobile, desktop, and room systems. Zoom Rooms is the original software-based conference room solution used around the...
ArkansasCowboy 11-Apr-20 06:16 PM
If you're chasing tomorrow, I'd suggest taking your phone number off of Spotter Network. I had random dudes calling me Wednesday night telling me im under a tornado. πŸ˜‚ I know. I'm staring at it. lol
Needless to say, I removed my number.
GrayGhost 11-Apr-20 06:36 PM
I never post mine under public. But it is required to have it in the field that NWS and EM can see. Public can't see that though
πŸ‘ 2
jordand71 11-Apr-20 06:51 PM
I need to change mine, had some dude texting me asking for pics of the wall cloud. told him to go look on twitter.
CanadianStormChaser 11-Apr-20 08:21 PM
ProTip: For text discussion of tomorrow's severe weather event, please visit #public-event-channel and #4-12-20_arklatex_dixie. If you're in the #weather-discussion voice channel, please use #wx-voice-text when discussing the event in voice as to not clutter and confuse the primary discussion channels. At 9pm CT Sat 4/11 we will host a Zoom forecasting session. Must be a Zoom member to participate: https://zoom.us/j/733555433
Zoom is the leader in modern enterprise video communications, with an easy, reliable cloud platform for video and audio conferencing, chat, and webinars across mobile, desktop, and room systems. Zoom Rooms is the original software-based conference room solution used around the...
<<𝕭𝖔𝖇>> γƒœγƒ– 11-Apr-20 08:47 PM
HRRR kills me 100%
RidleyTheSpacePirate34 11-Apr-20 08:50 PM
https://twitter.com/Weatheric/status/1249150786237599745 Well... it's setting the stage for show
The powerful southern branch of the jet stream that will aid in severe weather #EasterSunday produced a cirrus cloud deck that skirted the #Mississippi coast this evening. Here is the view from space, and my view from @CityofGulfport @WLOX @NWSNewOrleans @spann
<<𝕭𝖔𝖇>> γƒœγƒ– 11-Apr-20 09:32 PM
A potent line of storms will race eastward across the Chattahoochee Valley Sunday Night into Monday morning. ⚠️ TIMING: 12AM-6AM ET ⏰ THREATS: Damaging winds, strong tornadoes, & large hail. πŸŒͺ ACTION: Have a safety plan & multiple ways of reciving a warning! 🚨 #alwx #gawx...
stonks of helicity swaths
holden 12-Apr-20 12:43 AM
troll 4
banned 4
Yao 2
RTC 12-Apr-20 01:16 AM
LOL
Anyways, 06z D1, MDT for tornadoes extended into NW GA
Jacob P 12-Apr-20 01:20 AM
Pretty large MDT
Especially for tornado potential
<<𝕭𝖔𝖇>> γƒœγƒ– 12-Apr-20 08:48 AM
Now we're in for the long haul here
JasonWX 12-Apr-20 12:25 PM
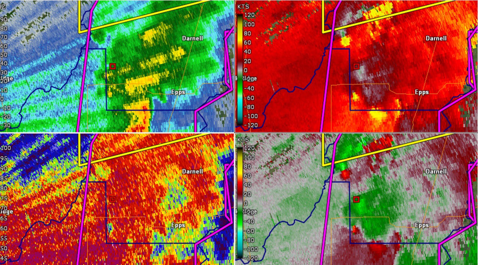
3 QLCS tornadoes ongoing at once west and north of Epps #lawx
KFC Chicken 12-Apr-20 12:59 PM
PDS Snow southeast of minneapolis up into WI troll
banned 4
😍 2
WeathermanEd (Chicago) 12-Apr-20 01:02 PM
CatRee
smok 12-Apr-20 01:09 PM
For today's Dixie Alley event there are several ways to discuss: πŸ—ΊοΈ Text | maps | links | images: Join #public-event-channel or #4-12-20_arklatex_dixie to discuss this event πŸ“» Voice | video streaming: Join #weather-discussion. Use #wx-voice-text to drop text links and narrative πŸŒͺ️ Zoom session for arm-chairing the event. Must be a zoom member to join https://zoom.us/s/812049617 πŸ‘€ To watch: https://www.youtube.com/watch?v=k0jm4b_AgVA
Zoom is the leader in modern enterprise video communications, with an easy, reliable cloud platform for video and audio conferencing, chat, and webinars across mobile, desktop, and room systems. Zoom Rooms is the original software-based conference room solution used around the...
KFC Chicken 12-Apr-20 01:13 PM
this is what i get for checking outbreak on a moderate risk day
benr1001 12-Apr-20 01:39 PM
i hopped over there, what a cesspool
RTC 12-Apr-20 03:13 PM
MDT maintained for 20z
Glen Heinz (Greenville, SC) 13-Apr-20 02:28 PM
WOW! Channel 2β€²s Tom Regan is in Upson County where the powerful storms picked up a house and dropped it in the middle of the road! Thankfully no one was hurt. 2wsb.tv/2Vr64V5
Glen Heinz (Greenville, SC) 13-Apr-20 02:37 PM
Tornado damage path north of Trion, GA. Was tracking this tornado on my way back home last night. Permissions needed for use. #Chattanooga #trion #nwg #tornadooutbreak #tornado #chattooga #gatornado #khtx
Glen Heinz (Greenville, SC) 13-Apr-20 10:52 PM
Robert Cox
Four tornadoes touched down in the Upstate and northeast Georgia early Monday morning killing at least one person and leaving several injured.
RTC 14-Apr-20 09:07 PM
April 12, 2020 a powerful long tracking tornado with EF4 preliminary rating. Despite the impressive radar images, this rain wrapped tornado was extremely difficult to see even at very close proximity. The tornado heavily impacted the town of Soso Mississippi and there are at...
pecoshank 11
this 7
πŸ’” 6
prombomb (Lafayette, IN) 14-Apr-20 10:10 PM
Hank is at a loss for words at times, you can just feel the emotion. Great video. Great story. (edited)
Holly Pajak 15-Apr-20 12:19 AM
Hank was one of the first youtubers I watched regarding severe weather. I admire him greatly, his love for weather, animals and critters and care for the human cost of the events.
Hexzie 15-Apr-20 12:29 AM
hes one of the few people to make storm chasing look wholesome
Glen Heinz (Greenville, SC) 15-Apr-20 12:51 AM
Amen.